soort
De baardduikerwants
glaenocorisa propinqua
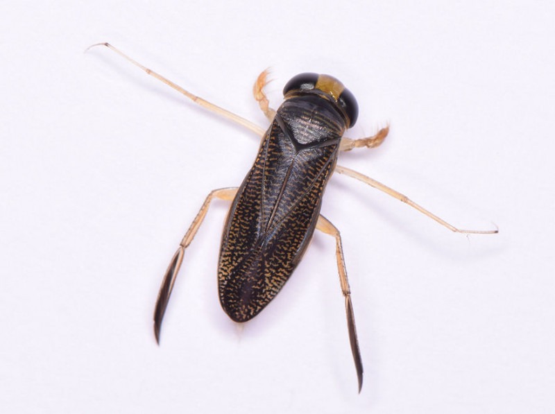
De baardduikerwants is een wants uit de familie van de duikerwantsen. De bruinzwarte duikerwants heeft, als volwassen dier, altijd volledige vleugels en kan 8 tot 8,5 millimeter lang worden. Het halsschild is net als de voorvleugels bruinzwart met een donkerpaarse metaalglans en heeft acht tot tien vage lichte lijnen. De hoeken aan de zijkant van het halsschild zijn afgerond en is twee keer zo breed als dat het lang is.

Over het halsschild loopt over het midden tot de helft een opstaande rand. De voorkant van de kop is bij beide geslachten dicht met lange haren bedekt, vandaar de Nederlandse naam. De pootjes zijn bij het vrouwtje geel en bij het mannetje donker.
De wants overwintert als volgroeid dier en er is één generatie per jaar. Het zijn goede zwemmers die jagen op kleine waterdiertjes en ze kunnen ook goed vliegen. In onze streken geeft de soort een voorkeur aan grote zure vennen met een kale zandbodem. Bij ons is hij zeldzaam, maar verder komt de wants vooral voor in Centraal-Europa.


foto’s : piet spaans, cresswell, mick talbot, lewallen, bryant

